Skip to content
POHICK WIRELESS
Proposed Cell Tower Project
Menu
Home
Why It’s Needed
What Will it Look Like?
How It Works
Contact
Town Hall
The Design
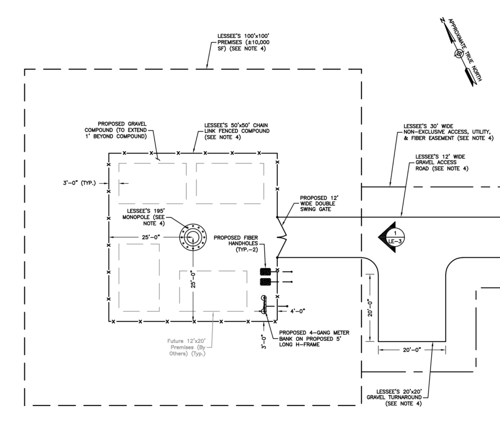
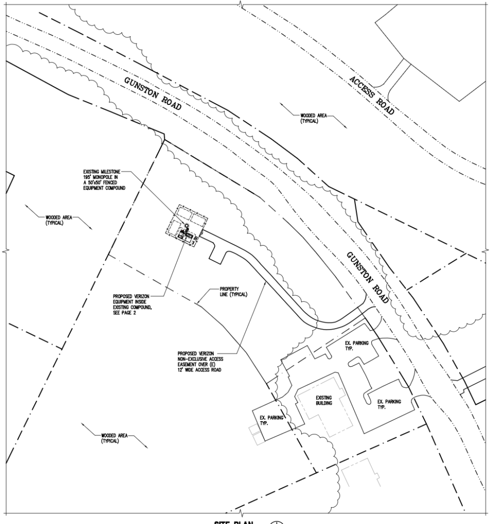
Simulations and site plans below.
Translate »